El huracán “Norma” cobra fuerza en las últimas horas y alcanza categoría 3 al intensificarse frente a las costas de Colima, Jalisco y Baja California Sur informa el Servicio Meteorológico Nacional.
El ciclón se localiza esta mañana a 405 kilómetros al suroeste de Playa Pérula, Jalisco y a 685 al sur-sureste de Cabo San Lucas, Baja California Sur.
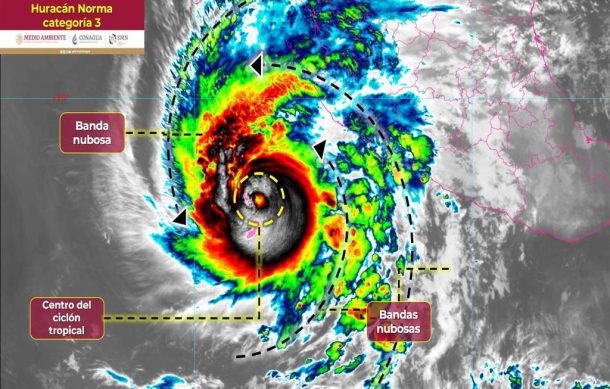
Sus bandas nubosas ocasionan lluvias intensas en Jalisco y Colima, así como en Nayarit, Michoacán y Guerrero, mientras mantiene su trayectoria hacia Baja California Sur.



